ID CP2546448

Casă demolabilă de vânzare – Vieru, jud. Giurgiu

ID CP2546448

24,000 € (negociabil)

Teren de 1,600 mp de vânzare
Vieru
1,600 mp

Dicos Property vă prezintă la vânzare o proprietate situată în satul Vieru, județul Giurgiu.

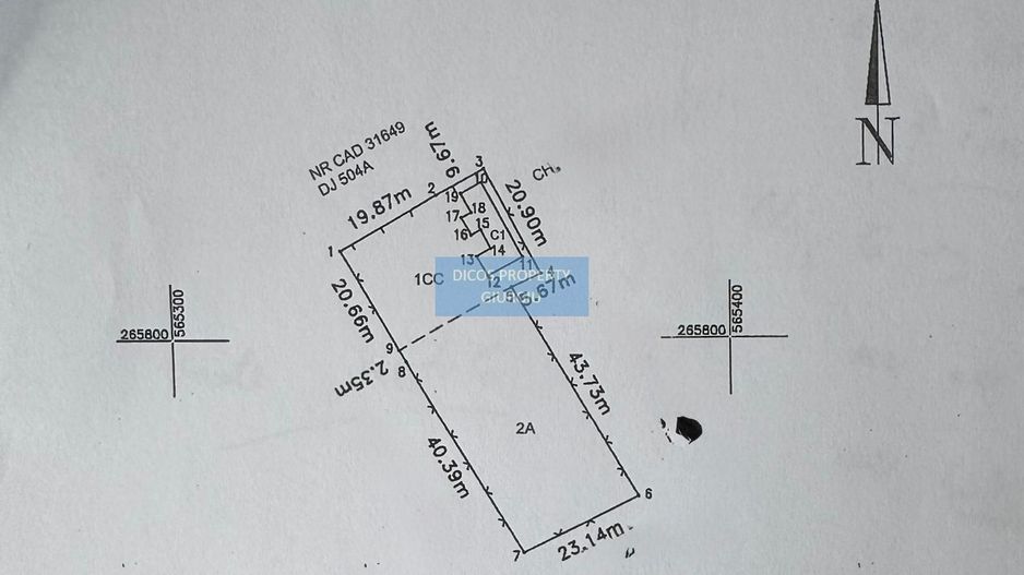
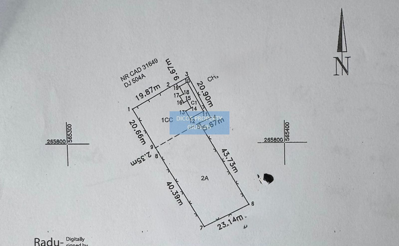
Imobilul este format dintr-un teren generos de 1.600 mp și o construcție veche de aproximativ 80 mp, aflată într-o stare precară, demolabilă.

Detalii:

Suprafață teren: 1.600 mp

Construcție existentă: 80 mp (neutilizabilă în starea actuală)

Acte la zi

Acces facil din drumul principal

Utilități disponibile în zonă (după caz)

Proprietatea necesită investiții majore, fiind potrivită pentru cei care doresc să construiască de la zero într-o zonă liniștită, la distanță de agitația orașului.

Preț cerut de proprietar: 24.000 EUR

📞 0727 597 097

✉️ dicosproperty@yahoo.com

🌍 www.dicos.ro

🏡 Dicos Property

Citește mai mult

  • Tip teren
    Construcții
  • Suprafață teren
    1,600 mp
  • Front stradal
    19.87 m
  • Număr fronturi stradale
    1
  • Deschidere la
    Șosea
  • Construcție pe teren
    Da
  • Suprafață construită
    80 mp
  • Clasificare
    Intravilan
  • Disponibilitate
    Imediat

Facilități

Apă
Canalizare
Curent
Gaz
Iluminat stradal
Mijloace de transport în comun
Străzi asfaltate
Cristina Dima - Dicos Property
Cristina Dima
Manager

0727597097


Solicită chiar acum o vizionare
Telefon
Sună acum Solicită vizionare
Necesare:

Site-ul nu poate funcționa corect fără aceste cookie-uri. Vezi cookie-urile

Statistică:

Strângem statistici anonime despre voi, vizitatorii unici, pentru a vă îmbunătăți experiența dumneavoastră. Vezi cookie-urile

Marketing:

Pentru a ne promova mai eficient serviciile noastre, folosim cookies pentru a vă identifica și a vă oferi proprietăți și servicii personalizate. Vezi cookie-urile

Acest site folosește cookies, află detalii. Alege ce tipuri de cookies dorești să permitem: